Location
Latitude: |
32-51-07.0000N (32.851944) |
Longitude: |
104-28-03.3000W (-104.467583) |
Elevation: |
3544.5 feet MSL (1080 m MSL) |
Magnetic Variation: |
6.7 E (as of December 2025 from WMM2020 model) |
Time Zone: |
UTC -7.0 (Standard Time) UTC -6.0 (Daylight Savings Time) |
From City: |
03 N.M. W of Artesia, New Mexico |
Found On: |
Albuquerque Chart |
FAA Region: |
ASW |
Contacts
Manager: |
Publicly owned: |
| LANCE GOODRICH PO BOX 1310 ARTESIA, NM 88211 575-748-3206 |
CITY OF ARTESIA 702 AIRPORT RD ARTESIA, NM 88210 575-746-2122 |
Operations
Airport Status: |
Operational |
Facility Use: |
Public |
Type: |
Airport |
Activation Date: |
11/1944 |
Control tower: |
No |
Attendance (Months/Days/Hours): |
Months/Days/Hours ALL/ALL/0700-1700 |
Boundary ARTCC: |
ZAB (Albuquerque) |
Responsible ARTCC: |
ZAB (Albuquerque) |
Lighting Schedule: |
SEE RMK |
Segmented Circle Indicator: |
Yes |
Traffic Pattern Altitude (MSL): |
4544 feet (1385 m) |
NOTAMs Facility: |
ATS |
NOTAM-D Service: |
Yes |
International Airport of Entry: |
No |
Customs Landing Rights: |
No |
Military Landing Rights: |
Yes |
Civil/Military Joint Use: |
No |
Based Aircraft
Annual Operations (as of )
Communications
| CTAF: | 123.075 |
| Unicom: | 123.075 |
| Approach: | ROSWELL 119.6 119.6 ALBUQUERQUE ARTCC |
| Departure: | ROSWELL 119.6 119.6 ALBUQUERQUE ARTCC |
| AWOS-3: | 126.725 (575-748-0270) |
- APCH/DEP SVC PRVDD BY ALBUQUERQUE ARTCC ON FREQS 132.65/257.6 (ROSWELL RCAG) WHEN ROSWELL APCH CTL CLSD.
Fixed Based Operators (FBOs) & Fuel
(Click on a business for detail)
Please help us keep this information up to date. This is a FREE SERVICE just like everything else on Airport Guide! If you see that a business needs to be added, modified, or deleted please fill out our .
To add, modify, or delete a business .
Please help us keep this information up to date. This is a FREE SERVICE just like everything else on Airport Guide! If you see that a business needs to be added, modified, or deleted please fill out our .
Area Code: 505 |
| Business Name | Frequency | Phone | Fuel Grade |
|---|---|---|---|
| City of Artesia
|
Unicom 122.8 | 748-3206, 746-4158/4196, 748-8805 | 100LL, Jet A |
| Desert Aircraft Salvage
|
Unicom 122.8 | 746-2477, 800-537-7494 | |
| Devil Dusters
|
748-3066, 365-8860 |
Flight Service Stations
| Primary | Alternate | |
| FSS on Field: | N | |
| FSS Name (ID): | Albuquerque(ABQ) | |
| Frequency: | ||
| Toll Free Phone: | 1-800-WX-BRIEF |
Instrument Procedures / Charts
FAA Terminal Procedures valid from 0901Z 11/27/25 to 0901Z 12/25/25.
There are various types of charts available for an airport. They are listed in the Page Type column. Here is a legend for those types:
APD - Airport Diagram
DP - Departure Procedure Charts
HOT - Hot Spots
IAP - Instrument Approach Procedure Charts
MIN - Minimums
STAR - Standard Terminal Arrival Charts
| Page Type | Page Name | Volume | Action Since Last Cycle |
|---|---|---|---|
| IAP | RNAV (GPS) RWY 13 | SW-1 | |
| IAP | RNAV (GPS) RWY 22 | SW-1 | |
| IAP | RNAV (GPS) RWY 31 | SW-1 | |
| MIN | ALTERNATE MINIMUMS | SW-1 | |
| MIN | TAKEOFF MINIMUMS | SW-1 |
Terminal Procedures are only available for airports in several countries with more being added all the time. If you are looking for a specific country's charts, please send an email to support(at)airportguide.com stating the country name. This will be used to prioritize the implementation.
Navigation Aids (Navaids) near ATS
| Dist (NM) | ID | Morse Code | Name | Type | Freq | True Hdg | Mag Hdg |
|---|---|---|---|---|---|---|---|
| 0.4 | ATS | . _ _ . . . | Artesia | NDB | 414 | 82 | 75 |
| 30.1 | CME | _ . _ . _ _ . | Chisum | VORTAC | 116.10 | 345 | 338 |
| 30.8 | RO | . _ . _ _ _ | Topan | NDB | 305 | 2 | 355 |
| 35.7 | CV | _ . _ . . . . _ | Carlz | NDB | 402 | 169 | 162 |
| 37.8 | CNM | _ . _ . _ . _ _ | Carlsbad | VORTAC | 116.30 | 161 | 154 |
| 46.5 | PIO | . _ _ . . . _ _ _ | Pinon | VOR-DME | 110.40 | 245 | 238 |
| 60.6 | CEP | _ . _ . . . _ _ . | Capitan | NDB | 278 | 309 | 302 |
| 61.8 | HOB | . . . . _ _ _ _ . . . | Hobbs | VORTAC | 111.00 | 101 | 95 |
| 73.3 | SFL | . . . . . _ . . _ . . | Salt Flat | VORTAC | 113.00 | 205 | 198 |
| 77.9 | BWS | _ . . . . _ _ . . . | Boles | DME | 113.65 | 269 | 262 |
| 82.7 | HMN | . . . . _ _ _ . | Holloman | TACAN | 114.50 | 270 | 263 |
| 85.3 | INK | . . _ . _ . _ | Wink | VORTAC | 112.10 | 133 | 127 |
| 89.8 | HUP | . . . . . . _ . _ _ . | Hudspeth | VORTAC | 115.00 | 211 | 204 |
| 92.6 | GNC | _ _ . _ . _ . _ . | Gaines County | NDB | 344 | 96 | 90 |
| 94.5 | PEQ | . _ _ . . _ _ . _ | Pecos | VOR-DME | 116.50 | 151 | 145 |
Nearby Airports with Fuel
| Dist (NM) | Name (Airport IDs) | True Hdg | Mag Hdg | Fuel Grade |
|---|---|---|---|---|
| 27.1 | Roswell Air Center Airport (ROW KROW ROW) | 353 | 346 | 100LL, Jet A, Jet A-1+ |
| 32.6 | Cavern City Air Trml Airport (CNM KCNM CNM) | 161 | 154 | 100LL, Jet A-1+ |
| 63.8 | Lea County Regional Airport (HOB KHOB HOB) | 98 | 92 | 100LL, Jet A |
| 64.7 | Sierra Blanca Regional Airport (RUI KSRR SRR) | 304 | 297 | 100LL, Jet A-1+ |
| 76.8 | Alamogordo-White Sands Regional Airport (ALM KALM ALM) | 269 | 262 | 100LL, Jet A-1+ |
| 86.2 | Carrizozo Municipal Airport (F37) | 304 | 297 | 100LL |
| 90.9 | Winkler County Airport (INK KINK INK) | 134 | 128 | 100LL, Jet A+ |
| 92.2 | Gaines County Airport (KGNC GNC) | 96 | 90 | 100LL, Jet A |
| 93.9 | Portales Municipal Airport (KPRZ PRZ) | 33 | 27 | 100LL, Jet A |
| 99.0 | Fort Sumner Municipal Airport (FSU KFSU FSU) | 7 | 0 | 100LL |
Notices to Airmen (NOTAMS)
Remarks
| A110-2 | FOR CD CTC ALBUQUERQUE ARTCC AT 505-856-4861. |
| A110-4 | AFT HR FUEL & EMERG REPAIR - AMGR. |
| A17 | CLSD HOL. |
| A57-04 | CLNC SLOPE 50:1 TO DTHR. |
| A75 | CALL AHEAD - AMGR. |
| A81-APT | ACTVT PAPI RWY 04, 13, 22 & 31; MIRL RWY 04/22 & 13/31 - CTAF. |
Runways
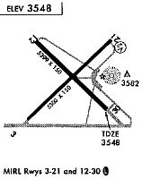
Runway Summary
| Runways: | 04/22 13/31 |
| Longest Runway: | 04/22 is 6800 ft (2073 m) long |
| Runways with an Instrument Approach: |
ATS Airport Runway Details
| Runway 04/22 | 6800 ft x 150 ft (2073 m x 46 m) | |
| Runway Length Source: | NGS as of 05/04/2007 | |
| Surface: | Asphalt - Good condition - Porous friction course | |
| Runway Pavement Class: | 17 /F/C/Y/T | |
| Runway Edge Lights: | Medium Intensity | |
Runway Weight Bearing Capacity (in thousands of pounds) |
||
| Single Wheel Landing Gear: | 40.0 | |
| Dual Wheel Landing Gear: | 57.0 | |
Runway 04 |
Runway 22 |
|
Elevation: |
3544.5 | 3519.5 |
Latitude: |
32-50-42.2548N | 32-51-29.7839N |
Longitude: |
104-28-34.4710W | 104-27-38.0807W |
|
Runway True Alignment: |
045 | 225 |
Glide Path Angle: |
3.0 degrees | 3.0 degrees |
Traffic Pattern: |
Left | Left |
Runway Markings Type: |
Basic | Nonprecision Instrument |
Runway Markings Condition: |
Good | Good |
Visual Glide Slope Indicators: |
4-Light PAPI On Right Side Of Runway | 4-Light PAPI On Left Side Of Runway |
Threshold Crossing Height: |
39 | 40 |
Threshold Elevation: |
3541.3 | |
Displaced Threshold: |
499 | |
Threshold Latitude: |
32-50-45.7432N | |
Threshold Longitude: |
104-28-30.3331W |
| Runway 13/31 | 6132 ft x 100 ft (1869 m x 30 m) | |
| Runway Length Source: | NGS as of 05/04/2007 | |
| Surface: | Asphalt - Good condition - Porous friction course | |
| Runway Pavement Class: | 17 /F/C/Y/T | |
| Runway Edge Lights: | Medium Intensity | |
Runway Weight Bearing Capacity (in thousands of pounds) |
||
| Single Wheel Landing Gear: | 40.0 | |
| Dual Wheel Landing Gear: | 57.0 | |
Runway 13 |
Runway 31 |
|
Elevation: |
3533.5 | 3506.3 |
Latitude: |
32-51-29.5232N | 32-50-46.6080N |
Longitude: |
104-28-25.3342W | 104-27-34.5470W |
|
Runway True Alignment: |
135 | 315 |
Glide Path Angle: |
3.0 degrees | 3.0 degrees |
Traffic Pattern: |
Left | Left |
Runway Markings Type: |
Nonprecision Instrument | Nonprecision Instrument |
Runway Markings Condition: |
Good | Good |
Visual Glide Slope Indicators: |
4-Light PAPI On Left Side Of Runway | 4-Light PAPI On Left Side Of Runway |
Threshold Crossing Height: |
40 | 40 |
Services
Fuel Available: |
100LL |
Landing Fees: |
No |
Parking: |
Tiedowns available |
Ratings and Reviews
Write a review for Artesia Municipal Airport
Maps & Diagrams
ATS Sectional
Flight Planning
at skyvector.com
at skyvector.com
